Clique aqui para conhecer nossa Política de Privacidade 
Página Principal  / Revivacidade

Revivacidade



Programa REVIVACIDADE é uma REDE VIVA de projetos que, de maneira colaborativa, buscará REVIVER os espaços públicos da CIDADE de Campinas e transformá-los em áreas VIVAZES de bem-estar e integração social.

O símbolo do programa é uma referência aos caracóis, animais que carregam consigo a ideia de calma, de evolução, paciência e perseverança. Eles são comumente associados ao conceito de Traffic Calming, estando presentes em intervenções relacionadas. Estes animais costumam aparecer em ambientes saudáveis e férteis, sendo considerados sinais de boa sorte em algumas culturas.

A escolha pelo ícone da espiral remete essencialmente ao movimento ascendente e progressivo, positivo e construtivo. Esta forma está presente constantemente na natureza e é associada à perfeição, inclusive sendo representada graficamente na Sequência de Fibonacci.

O Programa REVIVACIDADE alinha os conceitos de sistemas segurosvisão zerogestão de velocidade e desenho seguroAs ações readequam o espaço para privilegiar a segurança dos pedestres, criar espaços de convivência e reduzir a velocidade praticada pelos motoristas. Mais segurança e qualidade de vida para Campinas!

WRI Brasil e a Frente Nacional de Prefeitos (FNP) formaram a Rede Nacional para a Mobilidade de Baixo Carbono, também chamada de Rede Nacional de Ruas CompletasCampinas fez parte entre 2017 e 2020, participando de uma rede nacional de 21 cidades em que foram iniciadas as discussões sobre os desafios e as soluções para adotar o conceito de Ruas Completas no contexto brasileiro.

O WRI Brasil anunciou em 2021 a criação da Rede Ruas Completas SP, que apoia projetos de segurança viária em 20 cidades do estado de São Paulo, incluindo Campinas.

Neste mesmo ano, a Iniciativa Bloomberg de Segurança Viária Global (BIGRS) e seus parceiros iniciaram as ações para o trabalho colaborativo na prevenção e redução de acidentes de trânsito no município.

Campinas é a quarta cidade do país, a primeira não capital, a ser convidada para receber o apoio técnico da BIGRS na área de segurança viária. Esta iniciativa global está presente em 15 países e envolve 30 cidades.

O Programa REVIVACIDADE, desenvolvido pela Secretaria Municipal de Transportes (Setransp) e Empresa Municipal de Desenvolvimento de Campinas (Emdec), conta com os apoios técnicos da BIGRS e do WRI Brasil para o desenvolvimento de projetos-piloto de implementação de ações de segurança no trânsito.

Veja a seguir os principais tipos de projetos desenvolvidos dentro do Programa REVIVACIDADE.




Ruas Completas

Ruas desenhadas para dar segurança e conforto a todas as pessoas, de todas as idades, usuárias de qualquer modo de transporte.



Fonte: https://via.ufsc.br/o-que-sao-ruas-completas/


Saiba mais:

▶️ Casos de Ruas Completas no Brasil.mp4
▶️ Ruas Completas - Quais os desafios para implementação?.mp4
▶️ O que são Ruas Completas.mp4



Ruas Compartilhadas

Ruas projetadas para a segurança e o conforto do pedestre, onde carros, motos e bicicletas devem transitar em baixa velocidade. As “ruas caminháveis” são consideradas uma evolução do popular “calçadão”, onde a calçada e a rua (via de tráfego dos veículos) ficam no mesmo nível. Vários tipos de elementos e materiais são adotados com o objetivo de estabelecer o tráfego calmo e a segurança dos pedestres ao longo de toda a via.




Fonte:
 https://vadebike.org/2017/09/ruas-completas-pedestres-joel-carlos-borges-sao-paulo/elementos-de-uma-rua-completa-imagem-wri-brasil/



Urbanismo Tático

São soluções temporárias, de baixo custo e de rápida implementação, que permitem melhorar o desenho de uma rua ou espaço público. Reapropriação do espaço urbano para seus principais usuários: AS PESSOAS!




Fonte: https://jc.ne10.uol.com.br/colunas/mobilidade/2019/11/25/conheca-o-urbanismo-tatico-intervencao-usada-no-recife-para-humanizar-a-cidade


Vários projetos estão em desenvolvimento dentro do Programa REVIVACIDADE. Alguns projetos de Urbanismo Tático já foram implantados, estão sendo monitorados na fase de teste e em breve receberão obras definitivas. Veja a seguir.



Fonte: Emdec – Linha do Tempo – Desenvolvimento do projeto de Urbanismo Tático




VICENTE RÁO


Projeto de Urbanismo Tático implantado em 2019 no entorno da EMEF Professor Vicente Ráo, no Parque Industrial. Este projeto receberá a implantação do projeto definitivo em 2023.




Fonte: Google



Projeto implantado no entorno da Vicente Ráo

Saiba mais: 

📄 Urbanismo tático permite que alunos de Campinas ajudem a repensar entorno de escola

Este projeto foi premiado pelo WRI Brasil e FPN em 2020 como INICIATIVA MAIS INOVADORA da Rede Nacional para Mobilidade de Baixo Carbono.




O WRI Brasil publicou em 2021 a documentação de vários estudos de caso que são exemplos das “cidades possíveis”: “RUAS COMPLETAS NO BRASIL – Promovendo uma mudança de paradigma. Dentre os estudos apresentados, o projeto da Vicente Ráo foi contemplado. Clique na imagem abaixo para acessar a publicação:




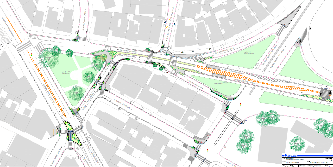
DELPHINO CINTRA


Projeto de Urbanismo Tático implantado em 2022 no bairro Botafogo. Este projeto receberá a implantação da 2ª Fase do projeto temporário no mês de maio de 2023. A previsão da Emdec é que o projeto definitivo seja implantado até o final deste ano.







Projeto implantado na 1ª Fase de testes



Projeto que será implantado na 2ª Fase de testes


Pesquisas foram realizadas antes e após a implantação. De acordo com os resultados, 56,5% da população aprovou o projeto da Delphino Cintra.

Outro ponto positivo foi o aumento do respeito dos condutores aos limites de velocidade das vias: carros, 60,3% (antes, 2,9%); motos, 37,9% (antes, 3,8%); e ônibus, 37,9% (antes, 3,8%).

Já o respeito dos veículos em relação à travessia de pedestres aumentou para 29%, sendo que antes era inexistente, pois não havia travessias de pedestres no local. Os pedestres se sentiram mais seguros, e em dois pontos diferentes foram registrados 66% e 100% de travessias realizadas nas faixas de pedestres.

Saiba mais: 

📄 Emdec inicia implantação de urbanismo tático na Rua Delfino Cintra



MATERIAL EDUCATIVO



Clique para baixar

Pais e professores: baixem o e-book e ensinem o Revivacidade às crianças de forma divertida!
 



NOTÍCIAS




26.07.2023: Projeto de urbanismo tático instalado no Parque Industrial é requalificado




18.07.2023 : Entorno da rua Delphino Cintra recebe segunda fase de programa premiado




24.06.2023 : Campinas conquista 1º lugar no Prêmio Parque da Mobilidade


01.06.2023 : Três projetos campineiros são finalistas no Prêmio Parque da Mobilidade

25.05.2023 : Intervenções para transformação da mobilidade urbana são debatidas em seminário

13.04.2023 : Profissionais de mobilidade urbana da Emdec participam de visita técnica à Fortaleza

29.07.2022 : Emdec inicia implantação de urbanismo tático na Rua Delphino Cintra

 



TEM SUGESTÕES?


Contribua com os projetos do Programa REVIVACIDADE e nos ajude a desenhar uma cidade diferente, com segurança e qualidade de vida para todos os usuários. Envie sugestões para o e-mail revivacidade@emdec.com.br.

EMDEC - Empresa Municipal de Desenvolvimento de Campinas S/A - CNPJ 44.602.720/0001-00
Rua Dr. Salles Oliveira, 1.028, Vila Industrial, CEP 13035-270 - Campinas-SP
Fale Conosco Emdec 118


© Copyright. Melhor visualizado em 1024x768. Site homologado para navegadores: IE10, Chrome30, Firefox30 e superiores.
Interagi Tecnologia